蓝色蔬菜有猫腻!赶紧试试你家的菜上面有没有这个东西!
此事经媒体曝光,引起不少人的注意,微信朋友圈里也有许多10万+

这究竟是怎么回事呢?
经专家鉴定,这种蓝色痕迹是一种叫硫酸铜的化学药剂,很可能是商贩在运输途中用来防腐保鲜的,而且用过硫酸铜的菜也会显得更绿。


这种情况在不少果蔬都存在,比如芹菜、韭菜、菠菜、苹果、葡萄等。
又是化学药剂!估计你心里在犯嘀咕,这还能吃吗?
其实这个硫酸铜在农业领域应用很多,而且还有一个很好听的名字,叫波尔多液。

【波尔多液的来历】
说到波尔多,你想到了什么?
波尔多是法国城市,以盛产葡萄酒闻名世界。
这里拥有五座世界顶级酒庄:拉菲(Lafite-Rothschild),拉图 (Latour),玛歌(Margaux),红颜容(Haut-Brion)和木桐(Mouton-Rosthschild)。

19世纪末期,这里的葡萄产业曾因受到霉叶病困扰,遭受严重打击。一位植物学家偶然发现硫酸铜和熟石灰能对付这种疾病,于是他将这种方法推广开来,终于使当地葡萄产业重新恢复生机。


后来这种药剂就以这座城市命名为“波尔多液”,它已经过一百多年的农业实践,是一种广谱、廉价、安全的杀菌剂。


【波尔多液抗菌的原理】
硫酸铜和熟石灰在一起形成“碱式硫酸铜”的悬浊液,喷洒后可以附着在作物表面形成药膜。
在病菌入侵和植物代谢产生的酸性物质作用下,铜离子逐渐释放出来。
铜离子可以进入病菌并让蛋白质凝固,还可以通过抑制酶的活性使病菌死掉,铜离子的缓释作用可以使波尔多液的效力持续发挥2周左右。

【波尔多液的安全性】
波尔多液=熟石灰+硫酸铜+水。
熟石灰就是氢氧化钙,在空气中它会逐步吸收二氧化碳转化为碳酸钙或碳酸氢钙,也就是小时候自然课往石灰水里吹气,先变浑浊后变澄清的化学原理。
它也可以和硫酸铜反应产生硫酸钙(石膏),因此并不存在安全问题。

硫酸铜是由硫酸根和铜离子形成的,但硫酸根和硫酸性质完全不同,这就好比食盐中的氯离子和盐酸是两码事。
铜虽然属于重金属,但它也是人体需要的金属元素,正常人每天大约需要摄取2-3毫克,一般从食物中就可以获得。
世卫组织下属的食品添加剂专家委员会(JECFA)认为,60公斤重的成年人终生每天摄入30毫克铜不会有健康问题。
此外,铜离子也并不存在蓄积毒性,硫酸铜也被认为是安全性很高的一种农药。
由于铜的安全性很高,世界主要发达国家极少规定它在食品中的限量。
中国的国家标准曾规定食品中铜的残留每公斤不超过10毫克,但在2010年左右顺应世界潮流,取消了这一限制。
下面看看这位咋胡扯的╮(╯▽╰)╭

看来教授很容易当呀
哈哈~~~

【如何识别和去除硫酸铜】
果蔬收获前一般会有1-2周停药期,在这期间的雨水、露水和喷灌作业都会将波尔多液的残留逐步洗掉。
但有可能农户不严格执行停药期,导致波尔多液残留下来。在蔬菜运输过程中,商贩也有可能用硫酸铜保鲜。
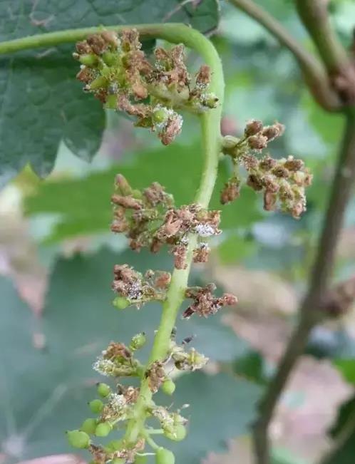
你可以仔细观察叶柄和根部,如果有蓝色或蓝白色残留,那很可能就是用过硫酸铜。

硫酸铜的溶解性很不错,如果用水浸泡和冲洗,去除的效果是很好的。
如果是波尔多液残留,简单冲洗的效果会差一些,可以辅以轻轻揉搓或擦洗的方式。
如果实在担心,可以先切去沾染硫酸铜较多的根部再用水清洗就行了。
毕竟硫酸铜安全性很高,因为蔬菜上的这点残留造成中毒是不可能出现的。
【硫酸铜的其他用途】
硫酸铜不仅在葡萄种植中发挥作用,在葡萄酒酿造过程中也可能用到。
有时葡萄酒发酵后会产生少量硫化氢,也就是臭鸡蛋的味道。
加入少量硫酸铜,可以利用铜离子和硫化氢反应,生成硫化铜沉淀,再将沉淀过滤掉就可以去掉异味了。
你吃过皮蛋吗?古代制造皮蛋时要用到“铅丹”,其作用主要是让蛋白质凝固。
后来人们意识到铅丹中的铅有害健康,于是逐步发展出无铅皮蛋。
替代铅丹的就是硫酸铜,它目前是合法的食品加工助剂。

硫酸铜也可以用于饲料行业,提供微量铜元素。
此外,硫酸铜还有很多工业用途,比如绚丽烟火中的浅蓝或蓝绿色就是利用了铜的焰色反应呢。
